オフィシャルブログ

日別アーカイブ: 2021年8月1日

イカダ釣り

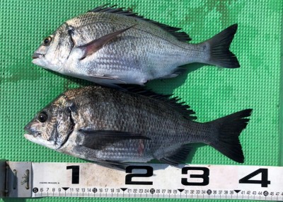
S__76816388S__76816386

志岐さんと佐伯さん 深場で釣れました!!

遊漁船

26500

河添さんご一行 船釣りで釣れました!!

イカダ釣り

S__76816391

藤本さんファミリー 浅場で釣れました!!

イカダ釣り

S__76816390

宮崎さん 深場で釣れました!!

イカダ釣り

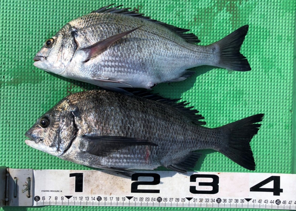
S__76816389

松原さん 深場で釣れました!!