オフィシャルブログ

日別アーカイブ: 2026年1月2日

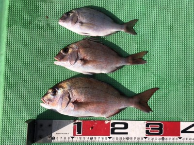
イカダ釣り

S__172777476_0

宮本さん 深場で釣れました!!

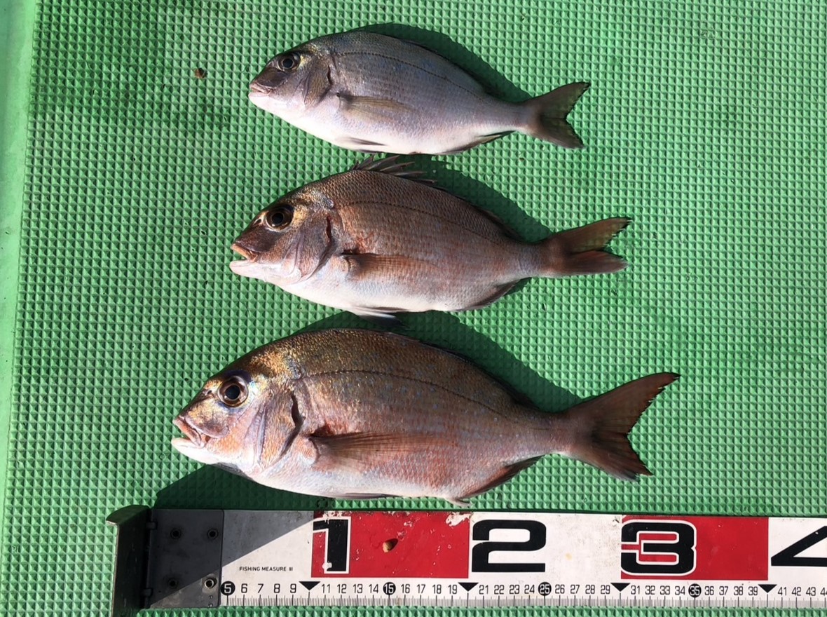
イカダ釣り

S__172777474_0

伊沢さん 深場で釣れました!!