オフィシャルブログ

日別アーカイブ: 2025年9月21日

イカダ釣り

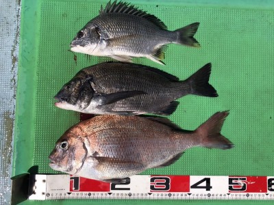
S__166232070_0S__166232068_0

上田さん 深場で釣れました!!

イカダ釣り

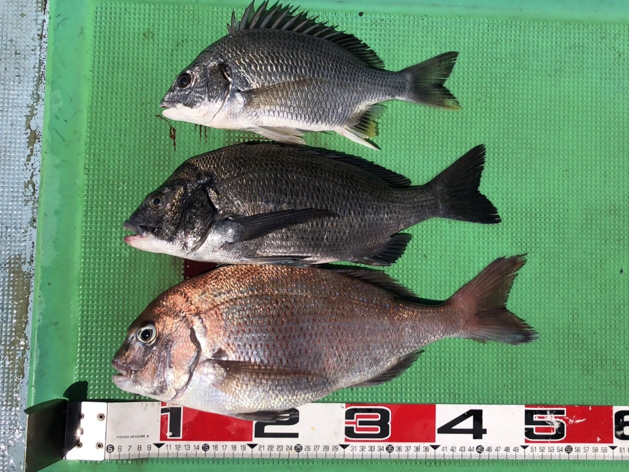
S__166232071_0

安達さん 深場で釣れました!!

イカダ釣り

S__166232074_0

新居さん 深場で釣れました!!

イカダ釣り

S__166232073_0

森さんご一行 深場で釣れました!!

イカダ釣り

S__166232072_0

多田さんご一行 深場で釣れました!!