オフィシャルブログ

日別アーカイブ: 2023年12月9日

遊漁船

66297

本日の船釣り!!

イカダ釣り

S__142131202_0

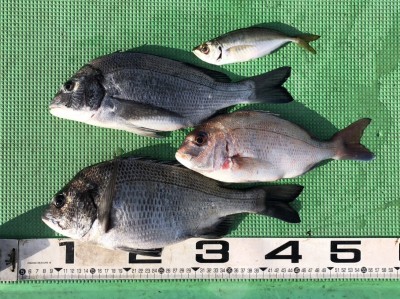
大森さん 浅場で釣れました!!

イカダ釣り

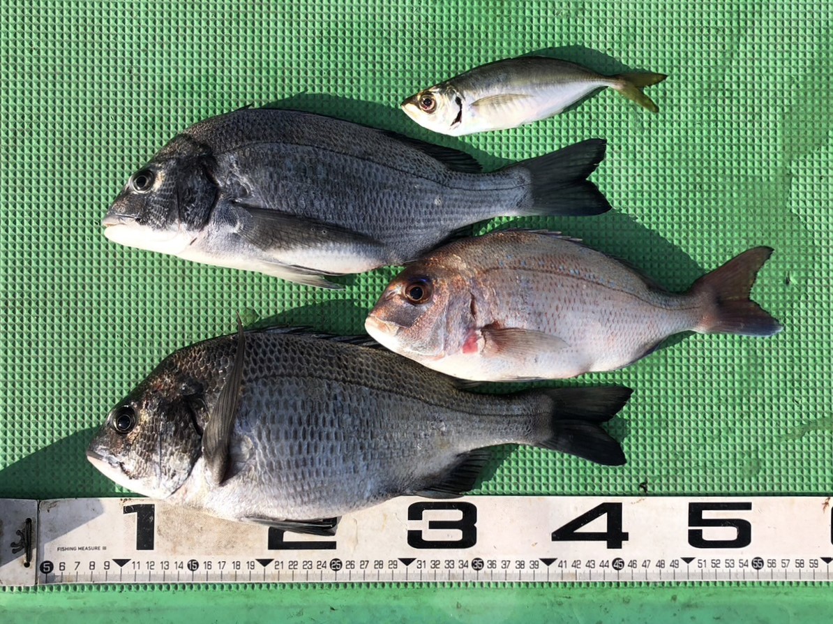
S__142131204_0

宮崎さんご一行 深場で釣れました!!