オフィシャルブログ

日別アーカイブ: 2021年6月10日

遊漁船

23189

小松さん 船釣りで釣れました!!

イカダ釣り

S__72482822S__72482820

木村さん 浅場で釣れました!!

イカダ釣り

S__72482824

中川さん 浅場で釣れました!!

イカダ釣り

23187

後藤さんご一行 深場で釣れました!!

イカダ釣り

S__72482823

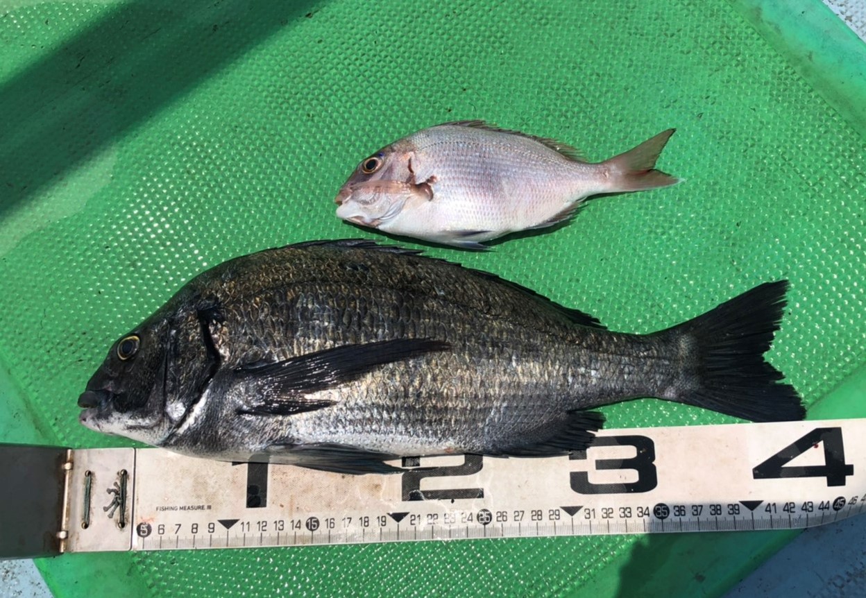
黒田さん 深場で釣れました!!

イカダ釣り

S__72482818

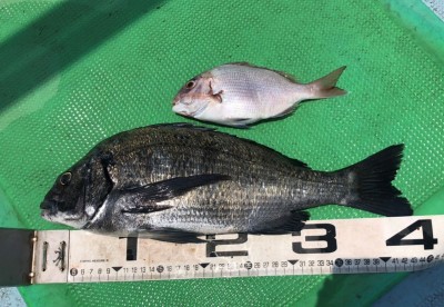
宮崎さん 深場で釣れました!!