オフィシャルブログ

日別アーカイブ: 2019年7月6日

イカダ釣り 一人でも

S__19423248

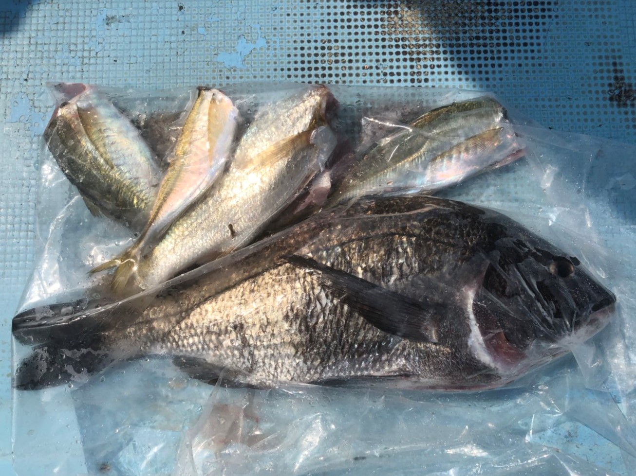
No.9 熊本市・江下さん

沖で釣れました!!

イカダ釣り 家族で

S__19423247

No.8 熊本市・田村さん

沖で釣れました!!

イカダ釣り 夫婦で

S__19423246

No.7 菊池市・池野さん夫婦

沖で釣れました!!

イカダ釣り 家族で

S__19423245

No.6 熊本市・村上さん

沖で釣れました!!

イカダ釣り のんびりと

S__19423244

No.5 上益城・久保田さん

沖で釣れました!!

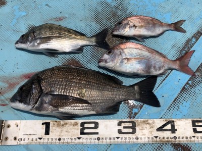
イカダ釣り 天草

S__19423243

No.4 熊本市・飯田さん

浅場で釣れました!!

イカダ釣り 一人でも

S__19423241

No.3 熊本市・鍛治さん

沖で釣れました!!

イカダ釣り 宝徳丸

S__19423240

No.2 天草市・長友さん

浅場で釣れました!!

イカダ釣り のんびりと

S__19423239

No.1 菊池市・古閑さん

浅場で釣れました!!