オフィシャルブログ

日別アーカイブ: 2019年5月7日

釣果 釣り 宝徳丸

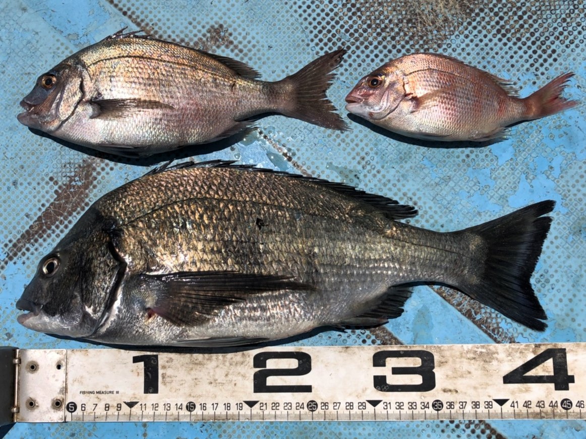
S__14794756

熊本市・土﨑さん

沖のイカダで釣れました!

イカダ釣り 釣果

S__14794755

熊本市・中川さん

浅場のイカダで釣れました!

イカダ釣り 釣果 天草

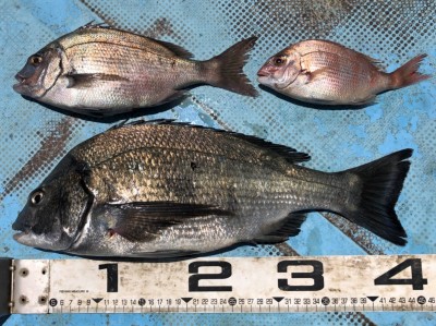
s 14794754

熊本市・田中さん

沖のイカダで釣れました!