オフィシャルブログ

イカダ釣り

このエントリーをはてなブックマークに追加
Bookmark this on Livedoor Clip
Bookmark this on Yahoo Bookmark
LINEで送る

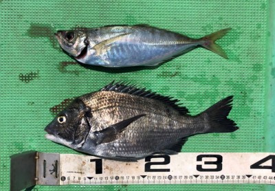
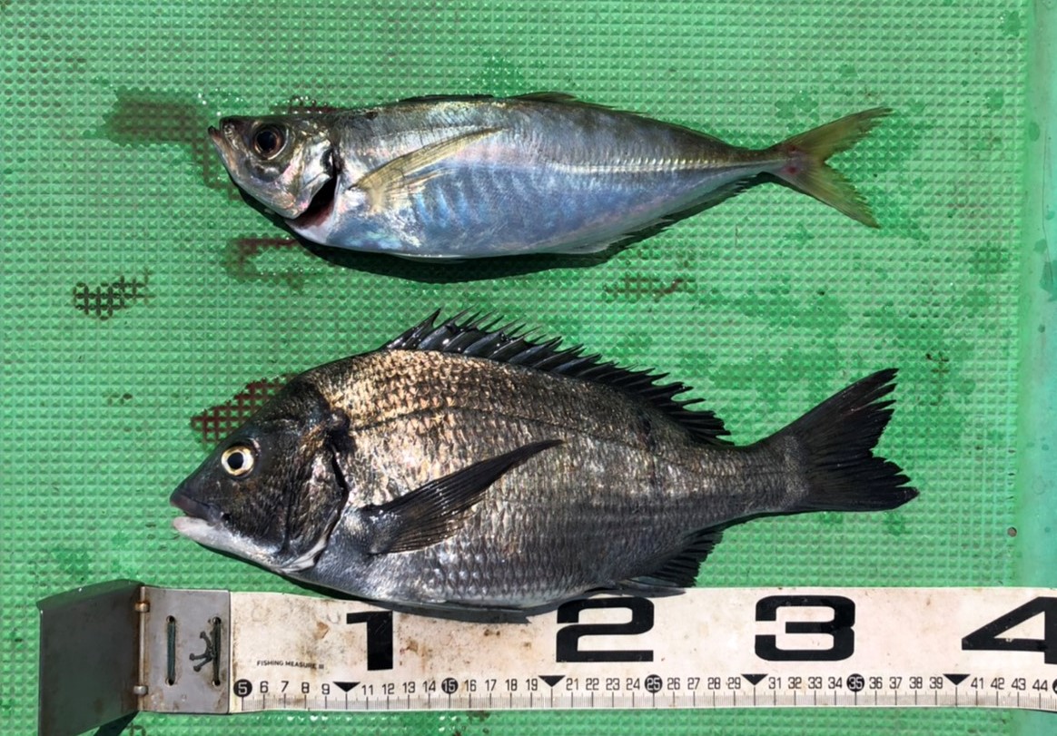
S__68157442

宇土市・大久保さん

深場で釣れました!!