オフィシャルブログ

イカダ釣り

このエントリーをはてなブックマークに追加
Bookmark this on Livedoor Clip
Bookmark this on Yahoo Bookmark
LINEで送る

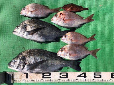
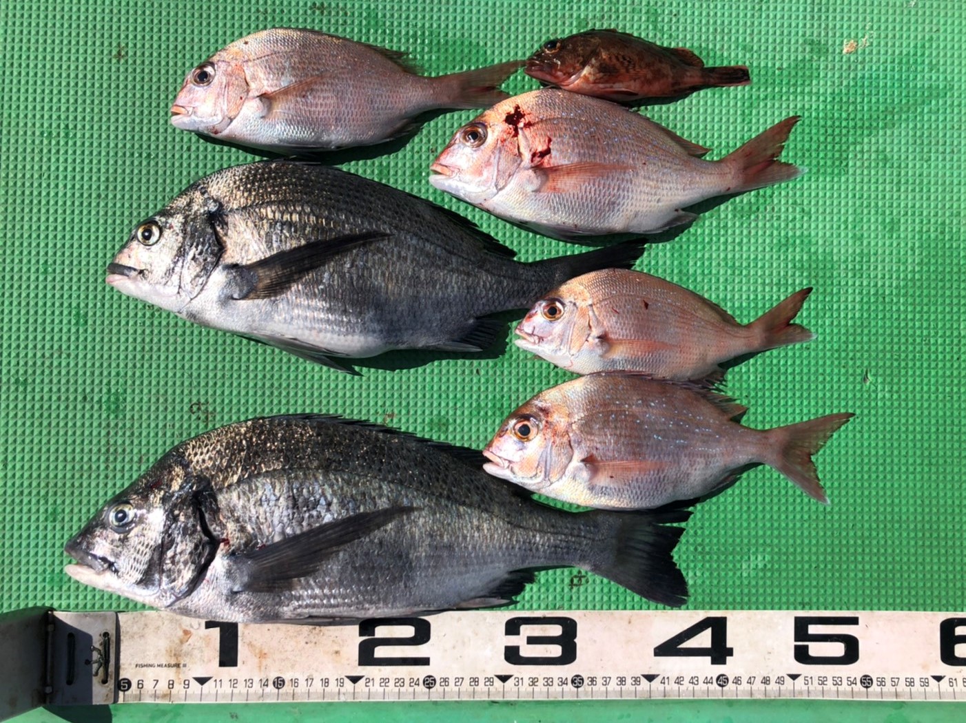
S__67788802

菊池郡・小西さん

深場で釣れました!!