オフィシャルブログ

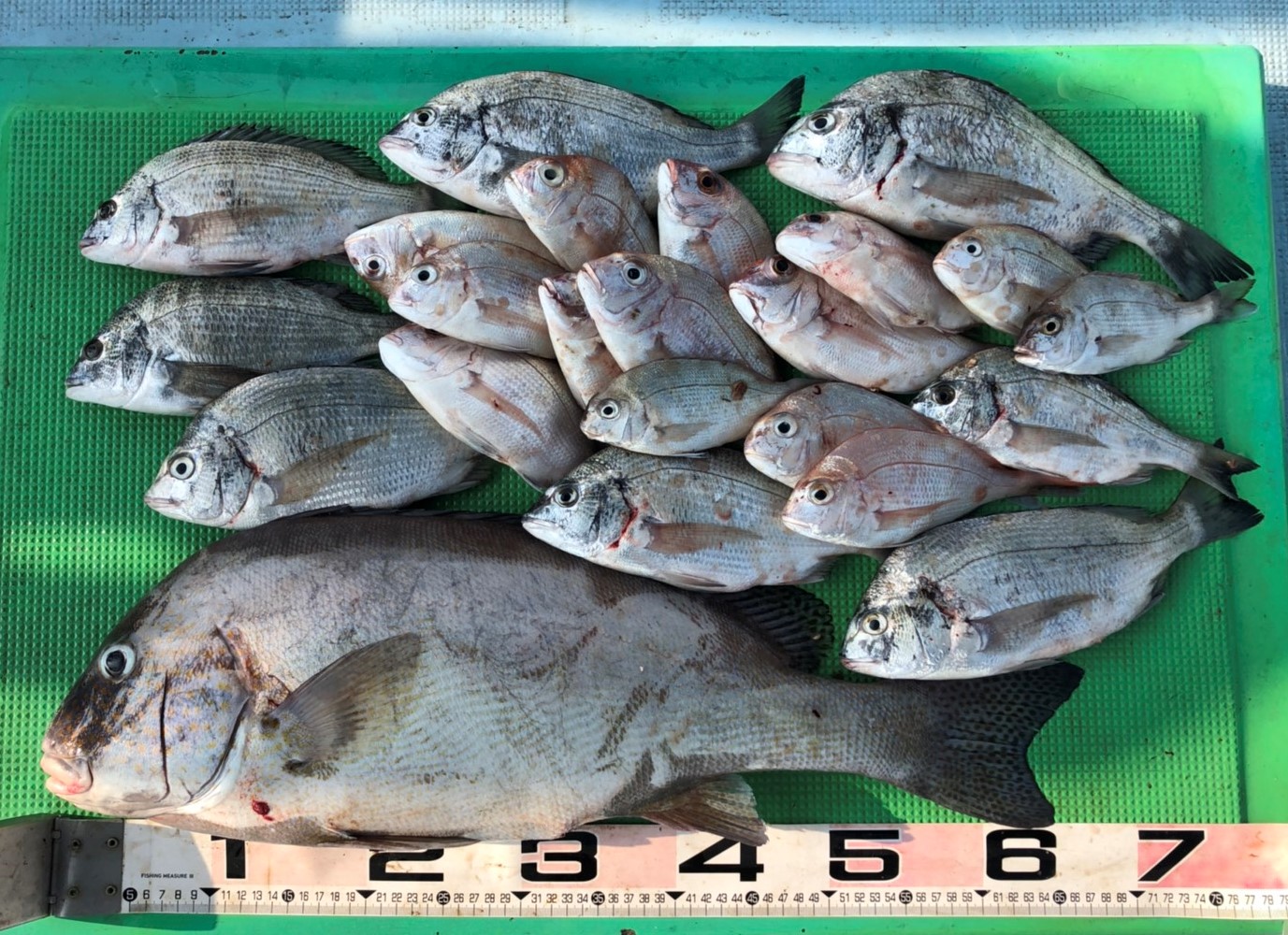
イカダ釣り コショウダイ❕

このエントリーをはてなブックマークに追加
Bookmark this on Livedoor Clip
Bookmark this on Yahoo Bookmark
LINEで送る

S__26312709

No.3 熊本市・宮崎さん

沖で釣れました!!