オフィシャルブログ

イカダ釣り 仲間と

このエントリーをはてなブックマークに追加
Bookmark this on Livedoor Clip
Bookmark this on Yahoo Bookmark
LINEで送る

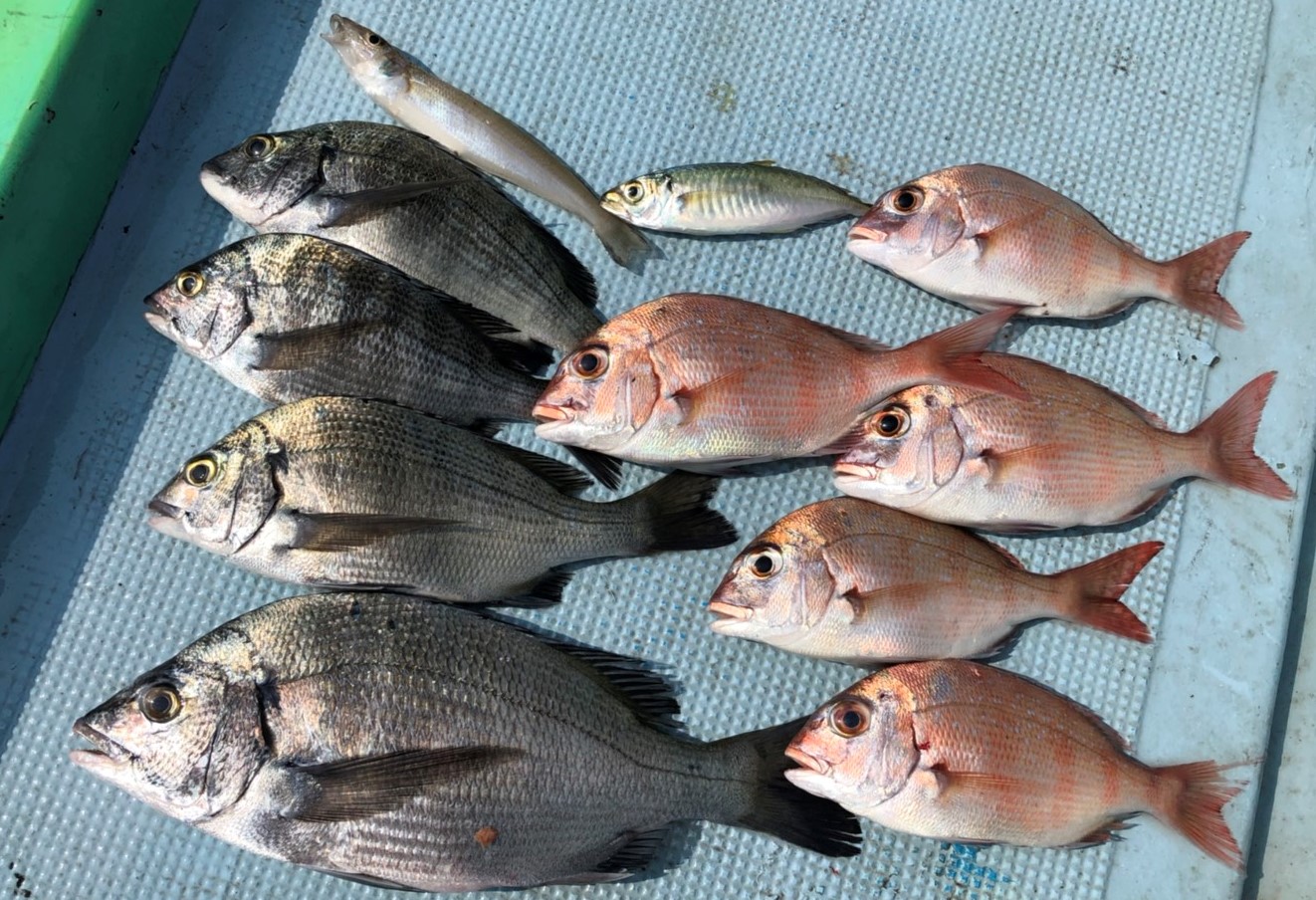
S__25165828

No.1 熊本市・宮本さんと左座さん

浅場で釣れました!!