オフィシャルブログ

イカダ釣り 熊本

このエントリーをはてなブックマークに追加
Bookmark this on Livedoor Clip
Bookmark this on Yahoo Bookmark
LINEで送る

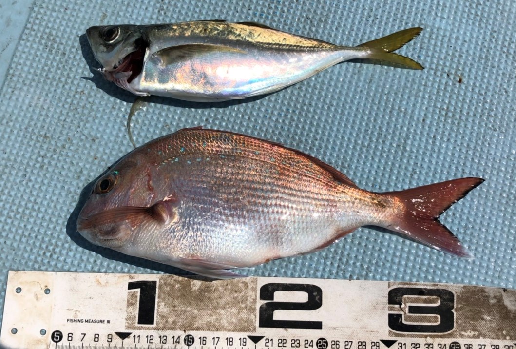
S__24985602

No.1 熊本市・原田さん

沖で釣れました!!