オフィシャルブログ

釣果 宝徳丸

このエントリーをはてなブックマークに追加
Bookmark this on Livedoor Clip
Bookmark this on Yahoo Bookmark
LINEで送る

S__14639107

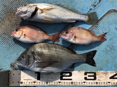
No.4 菊池市・中村さん

沖のイカダで釣れました!