オフィシャルブログ

宝徳丸 釣り 熊本

このエントリーをはてなブックマークに追加
Bookmark this on Livedoor Clip
Bookmark this on Yahoo Bookmark
LINEで送る

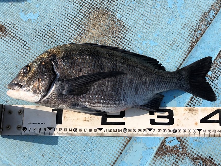
S__4358146

熊本市・平岡さん

沖のイカダで釣れました!