オフィシャルブログ

イカダ釣り

このエントリーをはてなブックマークに追加
Bookmark this on Livedoor Clip
Bookmark this on Yahoo Bookmark
LINEで送る

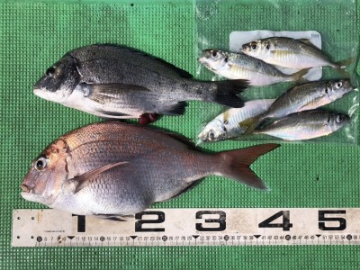
S__145809411

藤田さん 深場で釣れました!!