オフィシャルブログ

このエントリーをはてなブックマークに追加
Bookmark this on Livedoor Clip
Bookmark this on Yahoo Bookmark
LINEで送る

1532075601401

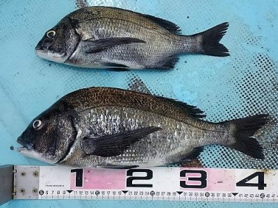
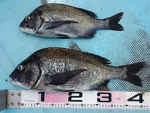
大牟田・成清さん

沖のイカダで釣れました!